
Franks Lake
Nur noch wenige Grundstücke frei
- Mit der Parzellierung genehmigte Bauparzellen
- Alle Grundstücke werden mit einer Schotterstraße inkl. 20m Wegerecht erschlossen
- guter Mischwaldbestand bis ans Ufer
- ab 8.000 m²
- ab € 37.000 inkl. aller Nebenkosten
PERFEKT FÜR PERSONEN DIE RUHE UND NATUR SUCHEN und trotzdem in nur wenigen Autominuten in einer Stadt sind.
Besichtigung vor Ort ist jederzeit möglich!
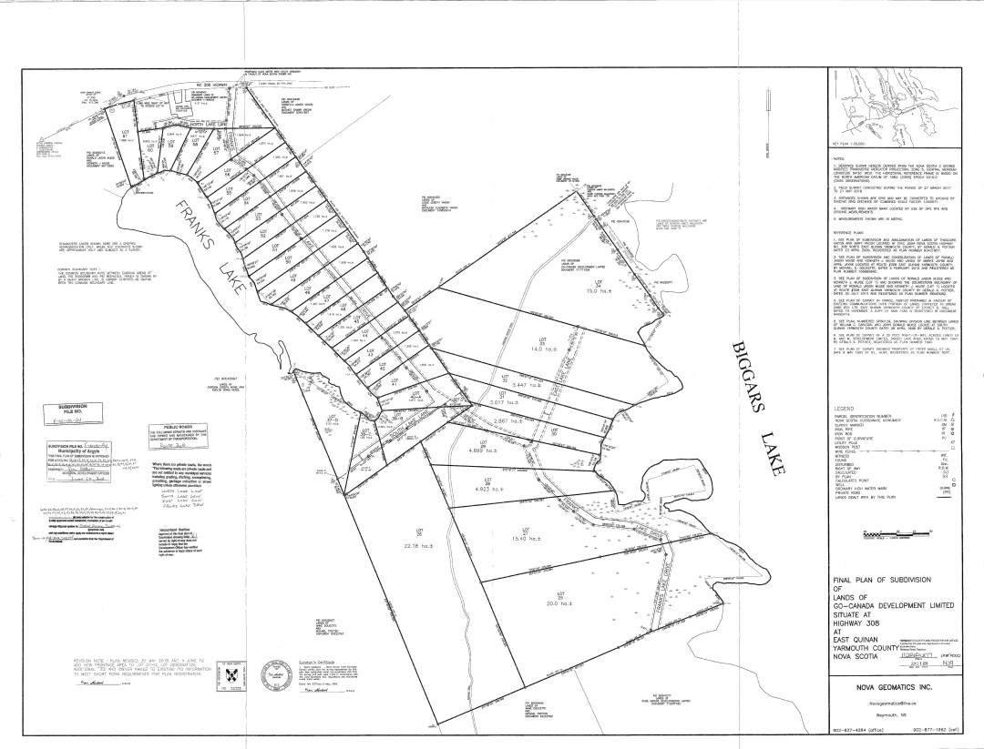
Vermessungsplan Franks Lake
| Lot | m² | Seefront | Preis |
|---|---|---|---|
| 1 | 32000 | 59 | verkauft |
| 2 | 33000 | 58 | verkauft |
| 3 | 30000 | 56 | verkauft |
| 4 | 31000 | 70 | verkauft |
| 5 | 34000 | 65 | verkauft |
| 6 | 30000 | 62 | verkauft |
| 7 | 44000 | 110 | verkauft |
| 8 | 27000 | 72 | verkauft |
| 9 | 28000 | 70 | verkauft |
| 10 | 27000 | 83 | verkauft |
| 11 | 31000 | 87 | verkauft |
| 12 | 69000 | 210 | verkauft |
| 13 | 34000 | 93 | verkauft |
| 14 | 81000 | 281 | verkauft |
| 15 | 29000 | 108 | verkauft |
| 16 | 27000 | 57 | verkauft |
| 17 | 25000 | 56 | verkauft |
| 18 | 28000 | 56 | verkauft |
| 19 | 115000 | 51 | verkauft |
| 20 | 104000 | 85 | verkauft |
| 21 | 66000 | verkauft |
| Lot | m² | Seefront | Preis |
|---|---|---|---|
| 24 | 300000 | 3400 | verkauft |
| 25 | 200000 | 490 | verkauft |
| 26 | 221000 | 0 | verkauft |
| 27 | 154000 | 855 | verkauft |
| 28 | 49000 | 86 | verkauft |
| 29 | 48000 | 56 | verkauft |
| 30 | 28000 | 56 | reserviert |
| 31 | 30000 | 61 | verkauft |
| 32 | 34000 | 82 | verkauft |
| 33 | 140000 | 337 | verkauft |
| 34 | 150000 | 150 | verkauft |
Franks Lake
Franks Lake - Preisliste der verfügbaren Immobilien
| Lot | m² | Seefront | Preis |
|---|---|---|---|
| 37 | 33000 | 280 | verkauft |
| 38 | 16000 | 50 | verkauft |
| 39 | 25000 | 39 | verkauft |
| 40 | 18000 | 43 | verkauft |
| 41 | 16000 | 43 | verkauft |
| 42 | 12000 | 54 | verkauft |
| 43 | 12000 | 54 | verkauft |
| 44 | 13000 | 54 | verkauft |
| 45 | 13000 | 55 | verkauft |
| 46 | 14000 | 55 | verkauft |
| 47 | 15000 | 56 | verkauft |
| 48 | 16000 | 64 | verkauft |
| 49 | 18000 | 65 | verkauft |
| 50 | 17500 | 55 | verkauft |
| 51 | 17000 | 54 | verkauft |
| 52 | 16000 | 55 | verkauft |
| 53 | 16000 | 55 | verkauft |
| 54 | 16000 | 56 | verkauft |
| 55 | 16000 | 55 | verkauft |
| 56 | 15000 | 53 | verkauft |
| 57 | 18000 | 40 | verkauft |
| 58 | 8000 | 52 | € 43.000,- |
| 59 | 8000 | 42 | € 41.000,- |
| 60 | 8000 | 45 | verkauft |
| 61 | 16000 | 45 | verkauft |
Lage der Immobilie
Eine Vielzahl an Impressionen dieser Immobilie wurden in einer Bildergalerie zusammengetragen:
Video Galerie:
Sehen Sie sich dieses Areal auf Google Maps an:





















